SOLD: 9 Shellback Way, Mashpee
3.97 Acres of Land with frontage on Route 28
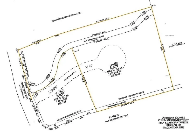
3.97 Acres of Land with frontage on Route 28, Mashpee. 9 Shellback Way, Mashpee is the official address, known as Lot 20 on plot plan shown below, an irregular shaped lot with access from Shellback Way. The property is zoned C-1 Commercial.
Contact: Chuck Carey
Phone: 508.790.8900 ext. 101
cjc@careycommercial.com
The information provided herein is gathered from sources we deem reliable. We have no reason to doubt its accuracy but do not guarantee it. The potential buyer should verify all information prior to purchase. Buyer and buyer's advisors should conduct a careful and independent investigation to your satisfaction of the suitability of the business for your needs.
